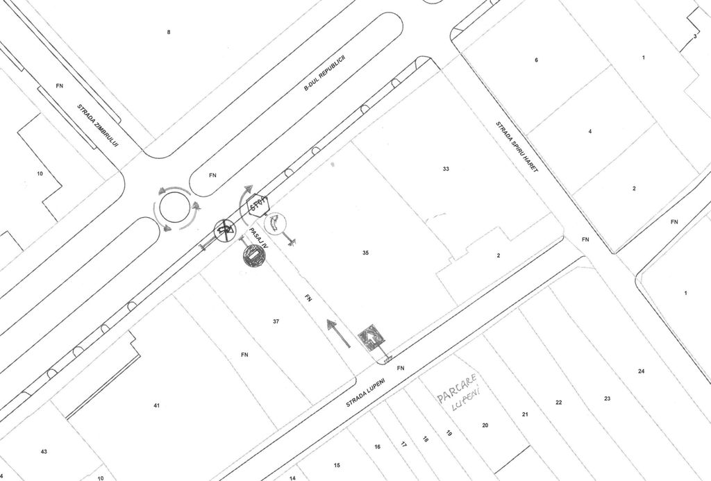
”Începând cu data de 31.08.2018 se deschide o nouă cale de acces auto pentru autovehiculele care ies din parcarea amenajată pe strada Lupeni”, anunță Primăria Bistrița.
Pasajul auto nou creat are sens unic și face legătura între strada Lupeni și Bulevardul Republicii, circulația urmând să se desfășoare cu respectarea indicatoarelor rutiere amplasate, conform schiței alăturate:











Daca se mai face si o alta intrare ca sa nu ocolesti tot centrul ar fi foarte bine.
Bravo domnilor, v-ați mișcat foarte repede!
Văd că la ieșire e STOP și OBLIGATORIU LA DREAPTA, era mult mai bine din toate punctele de vedere (utilitate, fluidizare) dacă ieșirea se integra în sensul giratoriu. Acum, toți care ies trebuie să întoarcă în sensul de la coroana, o intersecție foarte aglomerată și care acum se va aglomera și mai tare.
Și propui să demolăm case și să distrugem pasajele istorice pentru comfortul altora, de a nu mai merge până la Coroana?
Nu, propun să se modifice insula, să se construiască o insulă ovală, cum e pe Calea Moldovei la intersecția cu Cibela și Kaufland! Mergând inutil până la coroana te afectează și pe tine, chiar dacă ești pieton, pt că inhalezi mai multe noxe! Și că o mică paranteze, casele alea asa-zise istorice sunt niște șerpării distruse de romi, niște bombe chimice, niște ruine care ÎNCĂ n-au căzut!
oare cate masini vor trece pe acea straduta pe zi? Cred ca foarte putine.
Astronautule , e buna ideea cu ” insulă ovală ” dar atunci cred că va fi nevoie să reteze 2-3 copaci si puțină iarbă ….si ce ne facem că apar alte discuții?
Spațiul verde rămâne de aceeași suprafață: se micșorează scuarul cu doi metri, crește insula cu 2m.
IN ACEEASI SITUATIE SE AFLA SI BENZINARIA DE LA OZANA…. SI ACOLO E BINE SA SE PUNA STOP SI OBLIGATORIU LA DREAPTA…..
DE CE?
MA PREGATEAM SA INTRU IN SENS SI M-AAAAAAAAAA SURPRINS O MASINA CARE A IESIT DIN BENZINARIEEEE!!!!!
ASTEPTTTTTTTTTTTT!!!!
Nu multe masini vor trece pe langa fostul cinematograf. Cinematograful curând se va surpa!! A verificat cineva daca acea cladire rezista??