În ultima ședință din acest an, Consiliul Local Bistrița a aprobat studiul de fezabilitate pentru modernizarea trecerii la nivel cu calea ferată, km 63+406, cu instalare de semnale luminoase și acustice, pe strada Lucian Blaga.
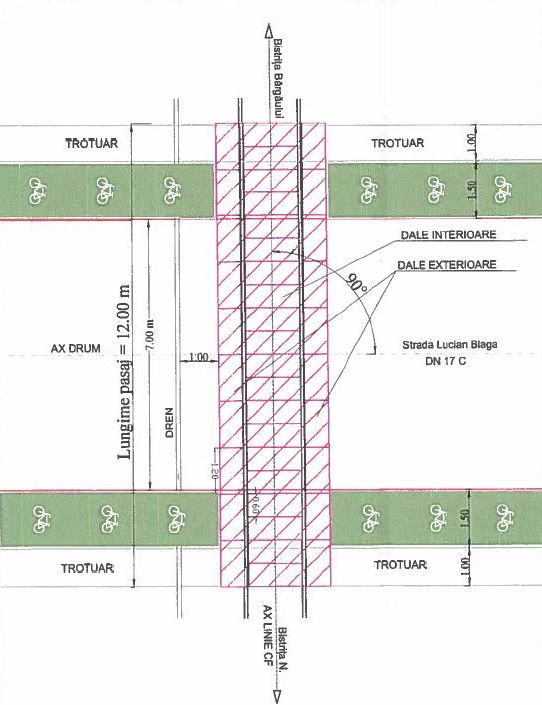
Lucrările propuse constau în modernizarea trecerii la nivel prin amenajarea cu dale elastice din cauciuc pe o lungime de 12 m, cu două trotuare laterale, și a unor parapeți; montarea instalaţiilor luminoase și acustice; modificarea și adaptarea instalațiilor din Gara Bistrița Nord.
Valoarea estimată a investiției este de 1,4 milioane lei, iar lucrările vor dura patru luni.
”Având în vedere faptul că pe str. Lucian Blaga traficul rutier se desfășoară cu dificultate din cauza faptului că trecerea la nivel cu calea ferată existentă nu este prevăzută cu semnale luminoase și acustice, ci doar cu indicatorul Oprire, fiecare conducător auto este astfel obligat să oprească înaintea trecerii, acest lucru conducând la aglomerație și timpi de așteptare foarte mari. Totodată, în această zonă au avut loc în decursul timpului și accidente. Efectul pozitiv previzionat este fluidizarea circulației și evitarea accidentelor, sporirea siguranței rutiere și feroviare, reducerea noxelor”, motivează municipalitatea.











Lucrările propuse… vrem ceva concret. De povești suntem sătui 🙁
E o chestiune de timp. Adica trebuie sa iasa si ei cumva in evidenta cum ca uite ca ” am facut aia si aia” odata cu apropierea campaniei electorale :))
Este poleita în aur de costa atat?
in stanga exista doua cote 1,20 si 7,00 la 180 grade rotite una fata de alta… in desenul tehnic nu se accepta asa ceva!
ma mir cat de denivelata va iesi trecerea…sigur un tren va merge la bargau si unul la beclean!
S-au mai cheltuit odata bani pentru amenajare treceri, au fost deagaba?
Si apropo vorba d lui Rabin, este poleita?
pistele alea de biciclete sunt pentru aia care vor sa ajunga in wonderland?
ca pe toata lungimea strazii Lucian Blaga eu nu am vazut nici trotuare, darmite pista de biciclete.
din suma aia cam cât se fura? jumatate sau mai mult?
De atât de multă vreme se vorbește despre aceste modernizări ale trecerilor la nivel cu calea ferată încât am și uitat de când a apărut problema rezolvării acestora. Vorbesc de 5, chiar 7 asemenea traversări ale căii ferate – Viișoara, Bistrița (dinspre P-ța Decebal spre Zona Industrială), cea de pe str. Lucian Blaga, de la Str. Dumitrii Vechi și de la Drumul Năsăudului, dar deși nu aparține de municipiu, ci de Consiliul Județean de cele două de la Livezile, care ar avea ca efect fluidizarea circulației din și din afara orașului. Toate se puteau rezolva printr-o singură acțiune comună, și anume executarea unui proiect cu subdetalii, a unui singur studiu de fezabilitate, a unei singure licitații, după care ar fi rezultat alegerea unui singur executant, iar realizarea tuturor acestor obiective ar fi putut să fie rezolvate într-o perioadă mai scurtă decât a trecut de când se discută despre necesitatea executării acestora și ar fi costat și mai puțin ca unul singur. Sunt două vorbe din popor, perfect valabile în acest caz, care spun că: ”amânarea de pe o zi pe alta a începerii tratamentului unei boli este moarte sigură” și ”unde nu-i cap, vai de picioare”, concluzii care se potrivesc de minune la sfârșitul acestui comentariu!!!
Sunt întru totul de acord cu tine ganditorule,dar te-ai gândit vreodată că nu se vrea sa se facă,de ce sa dea bani unei singure firme să facă toate pasajele,când se pot da mai multi bani la mai multe firme și toată lumea are de câștigat!!!!!
ai judecat….romaneste!
(ganditorul a judecat nemteste…poate de la o operatie i se trage!)