Primăria Bistrița a scos la licitație o serie de lucrări aferente obiectivului de investiții “Creare acces auto între str. Arțarilor și str. Colibiței, inclusiv modernizarea str. Colibiței”.
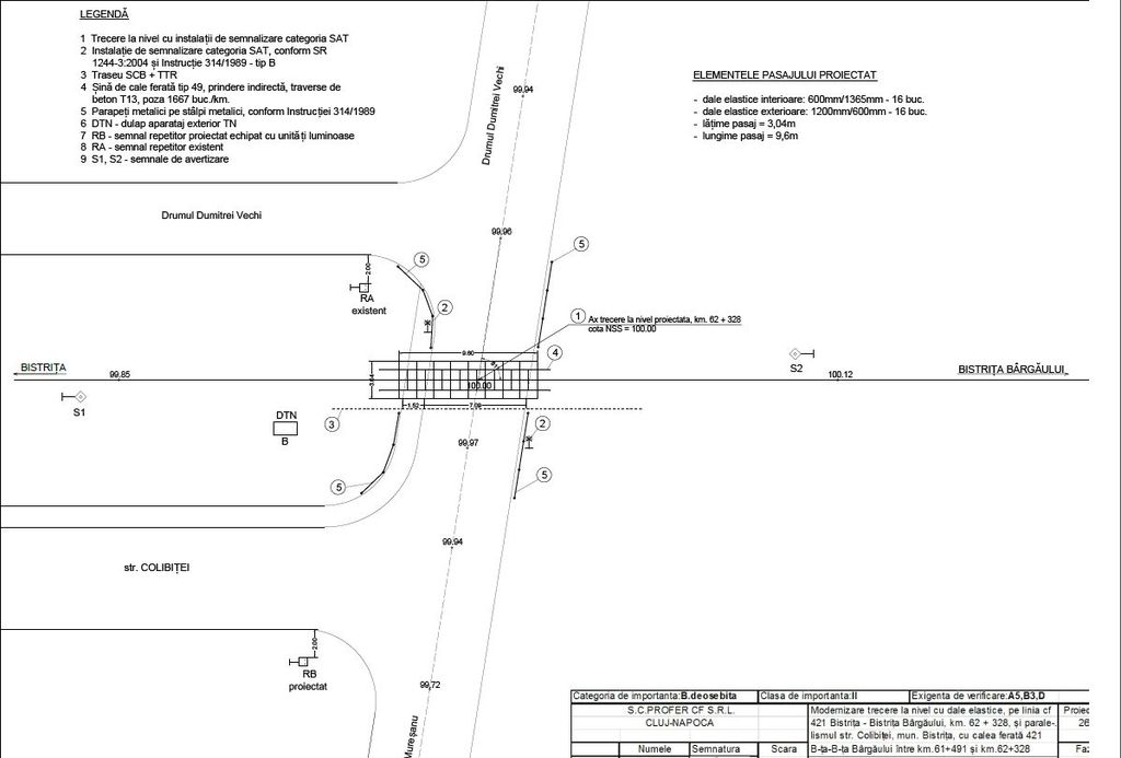
Lucrările prevăd: Lot 1 – Relocare cablu 0,4 KV și stâlp de la intersecția str. I. Slavici cu str. Colibiței și Lot 3 – Lucrări de modernizare trecere la nivel cu calea ferată km 62+328 (intersecție Andrei Mureșanu – Dumitrei Vechi) care cuprinde lucrări de modernizare a trecerii de cale ferată cu dale elastice și montarea unei instalații de semnalizare tip SAT, pe partea dreaptă a străzii Colibiței.
Valoarea lucrărilor scoase în primă fază la licitație este de 183.578 lei fără TVA.
2,4 milioane lei au fost alocate de la bugetul Bistriței pe 2018 pentru crearea accesului auto între străzile Arțarilor și Colibiței, inclusiv modernizarea străzii Colibiței. Lucrările generale constau în: realizare/amenajare carosabil, parcări, trotuare, pistă pentru cicliști, rețea de iluminat public, modernizare două treceri de cale ferată, devierea rețelelor electrice de pe amplasament.
Strada Colibiței, situată în partea de nord-vest a orașului, se întinde de la intersecția cu str. Ioan Slavici până la intersecția cu strada Andrei Mureșanu.











Sit back and relax… acum doar s-a scos la licitatie, pana se finalizeaza caietul de sarcini mai trece un an, apoi urmeaza contestarea licitatiei in instanta, asta dureaza inca 3-4 ani, intre timp expira studiile de fezabilitate si alte hartogarii, astea trebuie refacute pe milioane de lei, apoi se preda lucrarea firmei castigatioare. Se vor incepe lucrarile, adica firma va disloca bordurile existente si va incasa 80% din valoarea lucrarii, dupa care intra in insolventa… sau pur si simplu dispare. Ne mai judecam 2-3 ani, apoi o luam de la capat. Adica, mai pe scurt, nicio sansa sa vedem lucrarea finalizata mai repede de 15 ani. Eu personal as spune ca niciodata.
D-na Sabau, va rog sa postati mai multe fotografii de pe strada Colibitei. Locuiesc de peste 20 de ani pe aceasta strada si nu a fost reparata niciodata. Anul trecut , in primavara si toamna , primaria a avut o tentativa de umplere a gropilor cu ceva criblura. Prima ploaie a spalat acest material. Acum strada parca ar fi bombardata si regret chiar si acea criblura care rezista 2 saptamani. Poate se indura primarul si de noi, macar acum, ca Saptamana Patimilor se refera la altceva . Nu cred ca exista in Bistrita o strada atat de “explodata”. Pana la urma, cei 200 m din strada Colibitei, deservesc aprox 600 familii platitoare de taxe si impozite.